天候:晴れ
参加者:一般40名(うち子ども15名)、会員17名
担当:松岡(孝)
今回のテーマは「秋の生きものたち」です。
まだ暑い日が多いですが、そのような中でも秋を迎えている生きものたちを探しました。
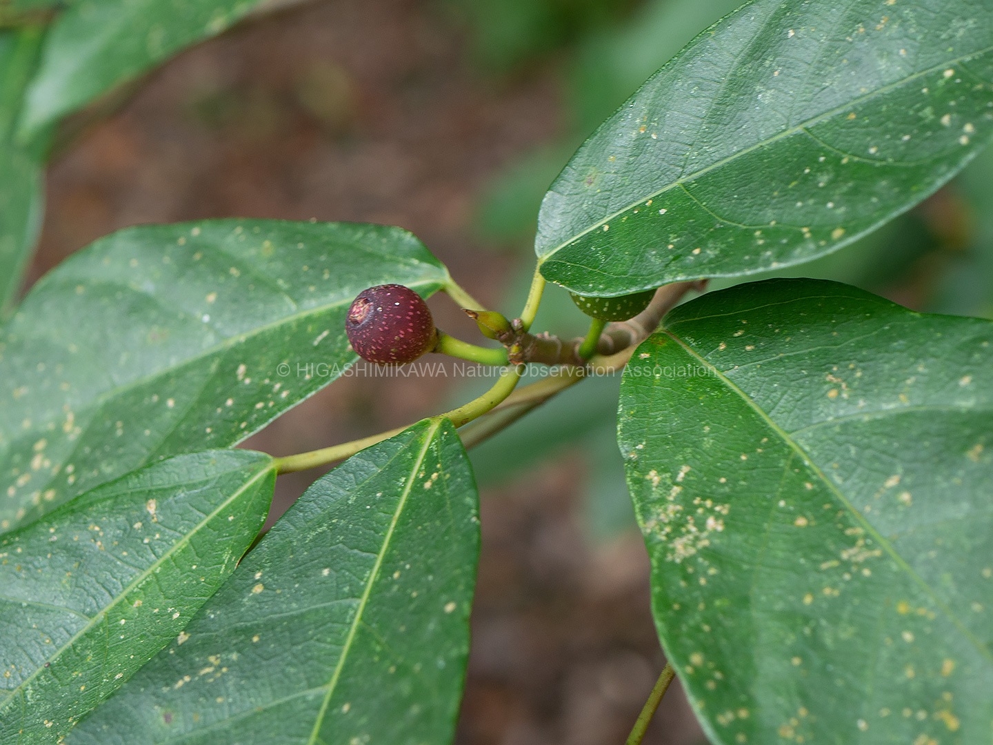
どんぐりや果実をつけている樹木、蛹で冬越しする前の幼虫となっているアオスジアゲハ、交尾中のショウリョウバッタ、冬の混群になりつつあるカラ類など秋の生き物の様子が観察できました。
定例自然観察会天候:晴れ
参加者:一般40名(うち子ども15名)、会員17名
担当:松岡(孝)
今回のテーマは「秋の生きものたち」です。
まだ暑い日が多いですが、そのような中でも秋を迎えている生きものたちを探しました。
どんぐりや果実をつけている樹木、蛹で冬越しする前の幼虫となっているアオスジアゲハ、交尾中のショウリョウバッタ、冬の混群になりつつあるカラ類など秋の生き物の様子が観察できました。