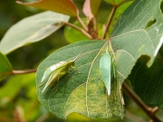
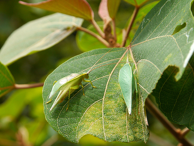
東三河ふるさと公園 第78回自然観察会 東三河ふるさと公園自然観察会 2012.09.29 天候:晴れ 参加者:一般6名、会員12名 今回の東三河ふるさと公園自然観察会は開催日を変更し、ふるさと満喫まつり2012の1イベントとして開催されました。 テーマは「秋の七草を探そう」です。自分なりの七草を探そうという提案のもと、観察会を行いました。参加された方々は自分なりの七草を見つけられたでしょうか? ヌメリイグチ ヒレタゴボウ(アメリカミズキンバイ) ヤマカガシの幼蛇 テイカカズラ ゴンズイ ガマズミ ツクシハギ アオマツムシの雄(左)と雌(右) コノシメトンボ ツチイナゴの脱皮 ハイイロチョッキリに産卵、切り落とされたコナラ チヂミザサ オカダイコン ジョロウグモ ナガコガネグモ